Dziennik Gazeta Prawana logo

Nadchodzi cyklon Tauktae. Indie ewakuują ok. 150 tys. ludzi

16 maja 2021, 18:35
Ten tekst przeczytasz w 1 minutę
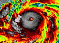
Cyklon Tauktae
<p>Cyklon Tauktae</p>/PAP/EPA
Niemal 150 tys. mieszkańców nisko położonych obszarów nad wybrzeżem stanu Gudźarat w zachodnich Indiach jest w niedzielę ewakuowanych przed nadejściem silnego cyklonu Tauktae - podały władze. Cyklon zabił już co najmniej sześć osób w stanach Goa i Karnataka.

Cyklon Tauktae

Według indyjskich służb meteorologicznych cyklon przejdzie nad Gudźaratem, osiągając prędkość wiatru do 175 km/godz. Akcja ewakuacyjna ma potrwać do nocy z niedzieli na poniedziałek. Burza ma dotrzeć nad wybrzeże we wtorek i meteorolodzy spodziewają się, że może wywołać powodzie, które odetną mieszkańcom drogi ucieczki przed żywiołem.

Gudźarat to jeden z najbardziej uprzemysłowionych regionów Indii, a na potencjalnej trasie cyklonu znajdują się jedne z największych w kraju portów i rafinerii naftowych.

Już wcześniej Tauktae spowodował dotkliwe straty na południu i zachodzie Indii, zabijając co najmniej sześć osób w stanach Goa i Karnataka.

W obawie przed żywiołem w sąsiadującym z Gudźaratem stanie Maharasztra władze przeniosły pacjentów chorych na Covid-19 z tymczasowych szpitali w Bombaju do innych części regionu. 

Copyright
Materiał chroniony prawem autorskim - wszelkie prawa zastrzeżone. Dalsze rozpowszechnianie artykułu za zgodą wydawcy INFOR PL S.A. Kup licencję
Źródło PAP
Zapisz się na newsletter
Świadczenia, emerytury, podatki, zmiany przepisów, newsy gospodarcze... To wszystko i wiele więcej znajdziesz w newsletterze Dziennik Radzi. Chcesz się dowiedzieć, kto może przejść na wcześniejszą emeryturę? A może jakie ulgi można odliczyć od podatku? Kto może otrzymać środki w ramach renty wdowiej? Zapisz się do naszego newslettera i bądź na bieżąco!

Zapisując się na newsletter wyrażasz zgodę na otrzymywanie treści reklam również podmiotów trzecich

Administratorem danych osobowych jest INFOR PL S.A. Dane są przetwarzane w celu wysyłki newslettera. Po więcej informacji kliknij tutaj