Dziennik Gazeta Prawana logo

Cyklon pustoszy wschodnie Indie! Wiatr osiąga 300 km/h

12 października 2013, 16:20
Ten tekst przeczytasz w 1 minutę
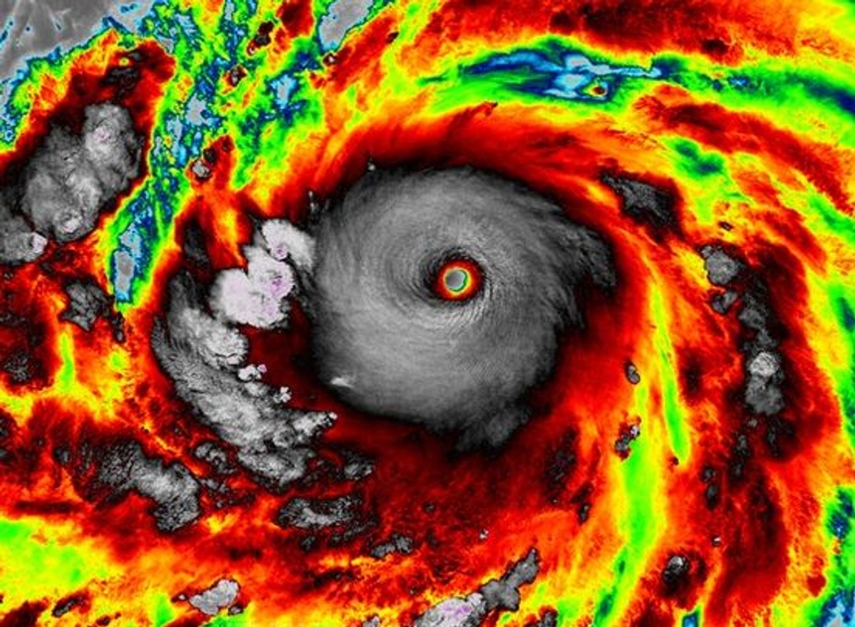
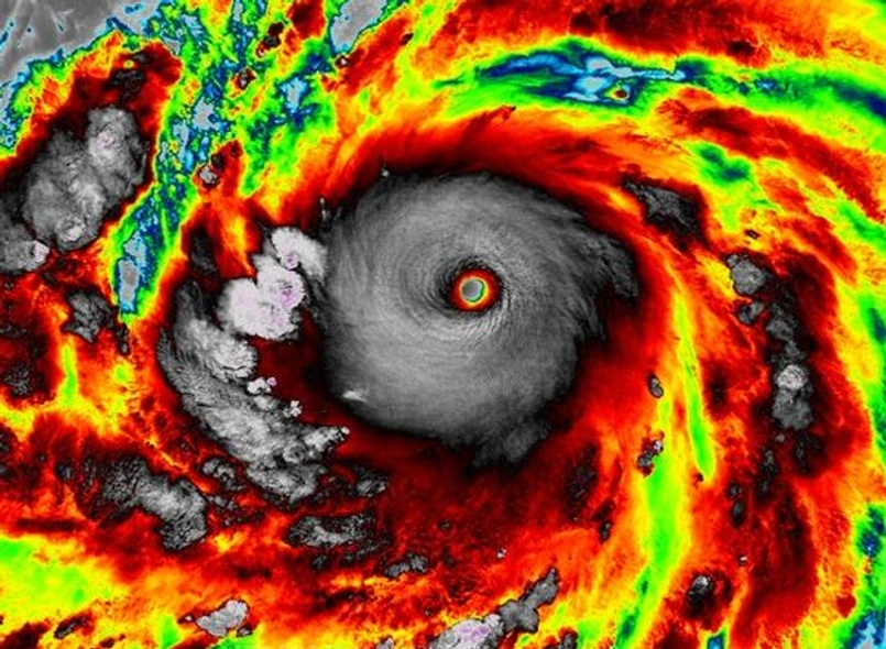
Mapa pogodowa w czasie uderzenia cyklonu
Mapa pogodowa w czasie uderzenia cyklonu/X.com
Podtopienia i masowe ewakuacje. Do wschodniego wybrzeża Indii dociera groźny cyklon Phailin.

Do tej pory w trzech stanach ewakuowano około pół miliona osób. Najwięcej - 100 tysięcy - w Andra Pradesz. Zamknięto tam największy port, Paradip. W stanie Bengal Zachodni, by zapobiec powodziom, otwarto zapory wodne na tamtejszych rzekach.

Najbardziej dotknięte skutkami cyklonu jest miasto Gopalpur w stanie Orisa. Tysiące mieszkańców ewakuowano do schronów, szkół i innych gmachów użyteczności publicznej. Wsparcia poszkodowanym udzieliło wojsko - armia wysłała w zagrożone tereny prawie 2 tysiące żołnierzy.

Wiatr osiąga miejscami prędkość 240 kilometrów na godzinę. W kulminacyjnym momencie może przekroczyć 300 km/h. Phailin to najbardziej dotkliwy w skutkach cyklon w Indiach od 14 lat. W 1999 roku w wyniku uderzającego w podobnych rejonach cyklonu Odisha zginęło około 10 tysięcy ludzi.

Copyright
Materiał chroniony prawem autorskim - wszelkie prawa zastrzeżone. Dalsze rozpowszechnianie artykułu za zgodą wydawcy INFOR PL S.A. Kup licencję
Źródło IAR
Zapisz się na newsletter
Najważniejsze wydarzenia polityczne i społeczne, istotne wiadomości kulturalne, najlepsza rozrywka, pomocne porady i najświeższa prognoza pogody. To wszystko i wiele więcej znajdziesz w newsletterze Dziennik.pl. Trzymamy rękę na pulsie Polski i świata. Zapisz się do naszego newslettera i bądź na bieżąco!

Zapisując się na newsletter wyrażasz zgodę na otrzymywanie treści reklam również podmiotów trzecich

Administratorem danych osobowych jest INFOR PL S.A. Dane są przetwarzane w celu wysyłki newslettera. Po więcej informacji kliknij tutaj