Dziennik Gazeta Prawana logo

Cyklon uderzył. Pół miliona osób ewakuowano

13 października 2013, 09:20
Ten tekst przeczytasz w 1 minutę
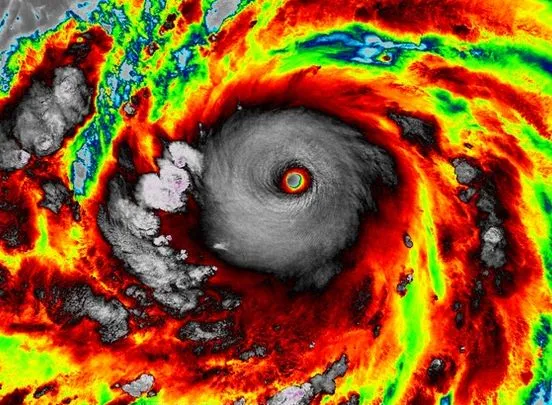
Cyklon Phailin na zdjęciach sateitarnych
Cyklon Phailin na zdjęciach sateitarnych/AP
Potężny cyklon uderzył w nocy we wschodnie Indie. Zginęło co najmniej 5 osób. Cyklon Phailin, mający prędkość do 200 kilometrów na godzinę, zrywał linie elektryczne i łamał drzewa. 

Pod wpływem silnego wiatru woda morska dostawała się w głąb lądu. Ze stanów Orissa i Andhra Pradesz ewakuowano prawie pół miliona mieszkańców.

W wielu miejscach nie działa komunikacja, odcięte są drogi i linie kolejowe, co sprawia, że jeszcze trudniej jest oszacować zniszczenia. Mieszkańcy poszkodowanych miejscowości skarżą się też, że brakuje tam wody pitnej. Do stanów Orissa i Andhra Pradesz wysłano 1700 żołnierzy, którzy mają pomagać ludziom i usuwać zniszczenia.

Wielu mieszkańców Orissy pamięta jeszcze cyklon, który przeszedł w tej okolicy w 1999 roku. Zginęło wówczas 10 tysięcy ludzi. Miejscowe władze twierdzą, że tym razem były lepiej przygotowane na przejście kataklizmu.

Copyright
Materiał chroniony prawem autorskim - wszelkie prawa zastrzeżone. Dalsze rozpowszechnianie artykułu za zgodą wydawcy INFOR PL S.A. Kup licencję
Źródło IAR
Zapisz się na newsletter
Świadczenia, emerytury, podatki, zmiany przepisów, newsy gospodarcze... To wszystko i wiele więcej znajdziesz w newsletterze Dziennik Radzi. Chcesz się dowiedzieć, kto może przejść na wcześniejszą emeryturę? A może jakie ulgi można odliczyć od podatku? Kto może otrzymać środki w ramach renty wdowiej? Zapisz się do naszego newslettera i bądź na bieżąco!

Zapisując się na newsletter wyrażasz zgodę na otrzymywanie treści reklam również podmiotów trzecich

Administratorem danych osobowych jest INFOR PL S.A. Dane są przetwarzane w celu wysyłki newslettera. Po więcej informacji kliknij tutaj